City Works is a regular feature designed to provide a preview of upcoming city meetings including, but not limited to, Planning, Zoning and Board of Mayor and Aldermen.ย ย
BOARD OF MAYOR AND ALDERMEN
The Aldermen have a few committee meetings prior to the regularly scheduled Board of Mayor and Aldermen meeting on Tuesday, March 1.ย Click on links below for meeting agenda and supporting documentation. All meetings will be broadcast live on Manchester Public Television,ย Channel 22 or online.
- Committee on Community Improvement, 5 p.m.
- Committee on Public Safety, Health and Traffic, 5:15 p.m.
- Committee on Human Services/Insurance, 5:45 p.m.
- Board of Mayor and Aldermen, 7 p.m.
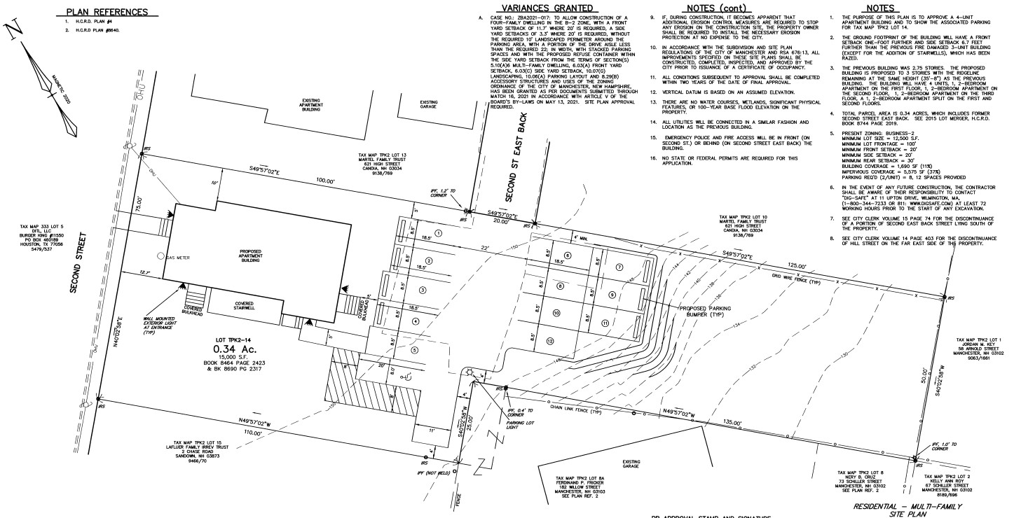
PLANNING BOARD
The Planning Board will hold their monthly business meeting on Thursday, March 3 at 6 p.m.ย The meeting will be televised on Manchester Public Television, Channel 22 or online. The highlights from the agenda are below. If you would like more information, the project applications can be found here.ย You can also access the application by clicking the images.
SP2022-003, 610 Second Street, General Business Zoning District: Applicant is presenting a site-plan application for a proposed four (4) unit apartment building of approximately 3,740 SF and parking to replace a fire-damaged three-unit building.
CU2021-022, 195 Electric Street, Residential One Family High-Density Zoning District: Applicant is requesting a conditional use permit for a proposed Accessory Dwelling Unit (ADU) in the upper story of an existing detached garage.
CU2022-005, 23 Lebel Avenue, Residential One-Family High Density Zoning District: Applicant is requesting a conditional use permit for a proposed Accessory Dwelling Unit (ADU) in a one-story building addition.
CU2022-008, 11 Griffin Street, Residential One-Family High Density Zoning District:ย Applicant is requesting a conditional use permit application for a proposed Accessory Dwelling Unit (ADU) in a one-story building addition.
CU2022-004 & SP2022-004, 42 Bridge Street, Central Business Zoning District: Applicant is requesting a conditional use permit application to allow residential units on the ground floor as well as submitting a site plan application for the conversion of an office building to a proposed mixed-use building with up to 14 dwelling units.
SP2022-005, 105 Prospect Street, Urban Multi-family Zoning District: Application is presenting a site plan application for a proposed three-story, six-unit apartment building to replace the fire-damaged four-family apartment building.
LIMITED BUSINESS MEETING
The following items will be discussed and decided during this limited business hearing;
- CU2021-022, 195 Electric Street
- CU2022-008, 11 Griffin Street
SAVE THE DATE!!!





