Planning Board preview: Proposed PODS storage center off Brown Ave., Subdivision and Site Plan regs review

read more…: Planning Board preview: Proposed PODS storage center off Brown Ave., Subdivision and Site Plan regs review

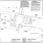
The Manchester Planning Board will be meeting on Thursday, April 15 at 6 p.m.  Remember, meetings are being held on-line to adhere to COVID protocols and can be accessed by tuning into Channel 22 on your television or on-line: PEG Channel 22 | manchestertv

Planning Board to hear request to change property use from equipment rental to used car dealership

read more…: Planning Board to hear request to change property use from equipment rental to used car dealership

This week, we are on deck for a Planning Board Limited Public Hearing and Business Meeting.  In some cases, an application requires a bit more consideration and the applicant is asked to come back to the Board with additional information. 

Preview of Jan. 14 Zoning Board meeting includes variance on Reservoir Dr. to convert dive shop into 3-family unit

read more…: Preview of Jan. 14 Zoning Board meeting includes variance on Reservoir Dr. to convert dive shop into 3-family unit

This week, we are tackling the Zoning Board. Manchester’s Zoning Board of Adjustments (ZBA) is “quasi-judicial,” which essentially means they are given the legal status to hold public hearings and make decisions to vary the provisions in the Zoning Ordinance.

Planning board to consider application fee deferral for affordable housing, Maple Street congregate housing plan

read more…: Planning board to consider application fee deferral for affordable housing, Maple Street congregate housing plan

In this column, we will endeavor to provide a preview of projects coming before the Planning Board, Zoning Board and Heritage Commission by posting agendas and relevant information to keep the public informed about what is happening. 

Challenge to Sununu, Gatsas and Sullivan: Put politics aside and stand with us today!

read more…: Challenge to Sununu, Gatsas and Sullivan: Put politics aside and stand with us today!

Wouldn’t it be great to wake up to a headline that reads: “Governor Actively Works with Community Leaders to Reduce Drug Crisis in State’s Largest City” followed shortly thereafter by “New Hampshire is Winning the Fight Against Opioid Addiction.”   Yup, a girl can dream!!

Support Ink Link