Planning Board to decide on conversion of business space to apartments in downtown Manchester


City Works is a regular feature which endeavors to provide a preview of projects coming before the Planning Board, Zoning Board and Heritage Commission by posting agendas and relevant information to keep the public informed about what is happening.

ย  ย  ย  ย  ย  ย  ย  ย  ย  ย  ย  ย  ย  ย  ย  ย  ย  ย  ย  ย  ย  ย  ย  ย  ย  ย  ย  ย  ย  ย  ย  ย  ย  ย  ย  ย  ย  ย  ย  ย  ย  ย  ย  ย  ย  ย  ย  ย  ย  ย  ย  ย  ย  ย  ย  ย  ย  ย  ย  ย  ย  ย  ย  ย  ย  ย  ย  ย  ย  ย  ย  ย  ย  ย  ย  ย  ย  ย  ย  ย  ย 

ZONING BOARD UPDATES

Last week, the Zoning Board granted variances for the following properties:

  • 216 Elm Street, CBD (Central Business District (ZBA2020-139)
  • 262 Main Street, R-3: Urban Multifamily District (ZBA2021-002) – Ward 11
  • 955 Montgomery St, R-1B: Residential One Family, High Density District (ZBA2021-004) โ€“ Ward 12
  • 68-70 Russell Street, R-2: Residential Two Family District (ZBA2021-005) โ€“ Ward 2
  • 1345 Lake Shore Road, R-S (LMPOD Overlay): Residential Suburban District in the Lake Massabesic Protection Overlay District (ZBA2021-006) โ€“ Ward 6
  • 850 Gold Street, B-2: General Business District (ZBA 2021-003) โ€“ Ward 9
  • 406 Amherst Street, R-2: Residential Two Family District (ZBA2021-0078) โ€“ Ward 4

The application for a variance at 77 Pearl St, CBD: Central Business District (ZBA2021-007) โ€“ Ward 3, was heard and the Board approved a motion to withdraw the application, which will allow the applicant the opportunity to resubmit the application with a new plan.

ย  ย  ย  ย  ย  ย  ย  ย  ย  ย  ย  ย  ย  ย  ย  ย  ย  ย  ย  ย  ย  ย  ย  ย  ย  ย  ย  ย  ย  ย  ย  ย  ย  ย  ย  ย  ย  ย  ย  ย  ย  ย  ย  ย  ย  ย  ย  ย  ย  ย  ย  ย  ย  ย  ย  ย  ย  ย  ย  ย  ย  ย  ย  ย  ย  ย  ย  ย  ย  ย  ย  ย  ย  ย  ย  ย  ย  ย  ย  ย  ย 

PLANNING BOARD

During the February 4, Planning Board meeting, the following applications were given approval to move forward.ย  The recording of the February 4 meeting is available on-demand through Manchester Community Television. CITY OF MANCHESTER (manchesternh.gov).

  • 482 Reservoir Avenue, S2020-013
  • 207 Hemlock Street, CU2021-001

The next meeting of the planning Board will be held on Thursday, February 18 at 6 pm.ย  The Agenda can be found here:ย  CITY OF MANCHESTER (manchesternh.gov).

On the Business Meeting Agenda, the Board was scheduled to make a decision on 284 Hanover Street, SP2019-022.ย  The application for this project has been withdrawn, the Veterans Northeast Outreach Center, Inc. has decided not to move forward with the purchase of the property.ย ย 

ย  ย  ย  ย  ย  ย  ย  ย  ย  ย  ย  ย  ย  ย  ย  ย  ย  ย  ย  ย  ย  ย  ย  ย  ย  ย  ย  ย  ย  ย  ย  ย  ย  ย  ย  ย  ย  ย  ย  ย  ย  ย  ย  ย  ย  ย  ย  ย  ย  ย  ย  ย  ย  ย  ย  ย  ย  ย  ย  ย  ย  ย  ย  ย  ย  ย  ย  ย  ย  ย  ย  ย  ย  ย  ย  ย  ย  ย  ย  ย  ย 

AGENDA HIGHLIGHTS

Limited Public Hearing

The Board had rescheduled the hearing for 1124 South Mammoth Road project (PDSP2020-008) to the February 18 meeting.ย  This application is for a site plan/planned development to expand a previously approved residential development in the R-S (Low Density), RSM (Residential Suburban Multifamily) and IND (General Industrial/Industrial Park) zoning districts.ย  The Limited Public Hearing will give the applicant a chance to review open items that have been previously discussed when presented at the January 7 meeting.

Application Detail:ย ย  2021-01-07_PDSP2020-008_1124_SOUTH_MAMMOTH_ROAD.PDF (manchesternh.gov)

ย  ย  ย  ย  ย  ย  ย  ย  ย  ย  ย  ย  ย  ย  ย  ย  ย  ย  ย  ย  ย  ย  ย  ย  ย  ย  ย  ย  ย  ย  ย  ย  ย  ย  ย  ย  ย  ย  ย  ย  ย  ย  ย  ย  ย  ย  ย  ย  ย  ย  ย  ย  ย  ย  ย  ย  ย  ย  ย  ย  ย  ย  ย  ย  ย  ย  ย  ย  ย  ย  ย  ย  ย  ย  ย  ย  ย  ย  ย  ย  ย 

Business Meeting

The following cases will be discussed by the Board and decisions will be rendered during the Business Meeting:

ย 

9 Willow Street, SP2019-033:ย  This is a request for a one-year extension of a conditional approval granted by the Board on December 19, 2019, to construct an addition to a convenience store, add automotive sales, and reconstruct a parking lot in the RDV (Redevelopment-Mixed Use) Zoning District.

Application Detail:ย  2021-02-04_SP2019-033_9_WILLOW_STREET.PDF (manchesternh.gov)

ย  ย  ย  ย  ย  ย  ย  ย  ย  ย  ย  ย  ย  ย  ย  ย  ย  ย  ย  ย  ย  ย  ย  ย  ย  ย  ย  ย  ย  ย  ย  ย  ย  ย  ย  ย  ย  ย  ย  ย  ย  ย  ย  ย  ย  ย  ย  ย  ย  ย  ย  ย  ย  ย  ย  ย  ย  ย  ย  ย  ย  ย  ย  ย  ย  ย  ย  ย  ย  ย  ย  ย  ย  ย  ย  ย  ย  ย  ย  ย  ย 

Building Photo

1707, 1717 and 1733 Wellington Road, S2021-001:ย  A subdivision application to adjust the common lot lines and annex 7,943 SF from Lot 1 to Lot 1A and 16,207 SF from Lot 1A to Lot 1B in the R1-A (Residential One Family-Medium Density) Zoning District.

Application Detail:ย  2021-02-04_S2021-001_1707_1717_1733_WELLINGTONROAD.PDF (manchesternh.gov)

ย  ย  ย  ย  ย  ย  ย  ย  ย  ย  ย  ย  ย  ย  ย  ย  ย  ย  ย  ย  ย  ย  ย  ย  ย  ย  ย  ย  ย  ย  ย  ย  ย  ย  ย  ย  ย  ย  ย  ย  ย  ย  ย  ย  ย  ย  ย  ย  ย  ย  ย  ย  ย  ย  ย  ย  ย  ย  ย  ย  ย  ย  ย  ย  ย  ย  ย  ย  ย  ย  ย  ย  ย  ย  ย  ย  ย  ย  ย  ย  ย 

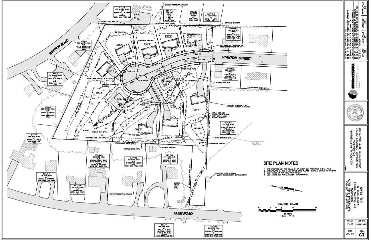
270 Stanton Street, S2021-002: ย A subdivision application for a proposed 8 lot subdivision which includes the extension of Stanton street in the R1-B (Residential One Family-High Density) Zoning District.ย  This application was conditionally approved by the Planning Board on July 18, 2019, under S2019-011 but the approval has lapsed.

Application Detail:ย  2021-02-04_S2021_002_270_STANTON_STREET.PDF (manchesternh.gov)

ย  ย  ย  ย  ย  ย  ย  ย  ย  ย  ย  ย  ย  ย  ย  ย  ย  ย  ย  ย  ย  ย  ย  ย  ย  ย  ย  ย  ย  ย  ย  ย  ย  ย  ย  ย  ย  ย  ย  ย  ย  ย  ย  ย  ย  ย  ย  ย  ย  ย  ย  ย  ย  ย  ย  ย  ย  ย  ย  ย  ย  ย  ย  ย  ย  ย  ย  ย  ย  ย  ย  ย  ย  ย  ย  ย  ย  ย  ย  ย  ย 

15 Riverwalk Way, SP2021-001:ย  A site plan application for the modification of a previously approved site plan (SP-19-2013), to permit an in-ground pool, a pool house, fencing and vehicular access gates for the Riverwalk Place apartments in the CBD (Central Business District) Zoning District.

Application Detail: 2021-02-04_SP2021-001_15_RIVERWALK_WAY.PDF (manchesternh.gov)

ย  ย  ย  ย  ย  ย  ย  ย  ย  ย  ย  ย  ย  ย  ย  ย  ย  ย  ย  ย  ย  ย  ย  ย  ย  ย  ย  ย  ย  ย  ย  ย  ย  ย  ย  ย  ย  ย  ย  ย  ย  ย  ย  ย  ย  ย  ย  ย  ย  ย  ย  ย  ย  ย  ย  ย  ย  ย  ย  ย  ย  ย  ย  ย  ย  ย  ย  ย  ย  ย  ย  ย  ย  ย  ย  ย  ย  ย  ย  ย  ย 

Building Photo

62 Lowell Street, SP2021-002: This is a site-plan application to change the use of the second story of a two-story building from professional offices to nine multi-family residential dwelling units in the CBD (Central Business District) Zoning District.

Application Detail:ย  2021-02-04_SP2021-002_62_LOWELL_STREET.PDF (manchesternh.gov)

ย  ย  ย  ย  ย  ย  ย  ย  ย  ย  ย  ย  ย  ย  ย  ย  ย  ย  ย  ย  ย  ย  ย  ย  ย  ย  ย  ย  ย  ย  ย  ย  ย  ย  ย  ย  ย  ย  ย  ย  ย  ย  ย  ย  ย  ย  ย  ย  ย  ย  ย  ย  ย  ย  ย  ย  ย  ย  ย  ย  ย  ย  ย  ย  ย  ย  ย  ย  ย  ย  ย  ย  ย  ย  ย  ย  ย  ย  ย  ย  ย 

540 Chestnut Street, CU2020-021 & SP2021-003: A conditional use permit application to convert an office building to a multi-family apartment building with living units on the first floor.ย  This application has also submitted a site plan application to change the use of an existing 15,305 SF office building into twelve multi-family residential dwelling units in the CBD (Central Building District) Zoning District.

Application Detail:ย  2021-02-04_SP2021-003_540_CHESTNUT.PDF (manchesternh.gov)

ย  ย  ย  ย  ย  ย  ย  ย  ย  ย  ย  ย  ย  ย  ย  ย  ย  ย  ย  ย  ย  ย  ย  ย  ย  ย  ย  ย  ย  ย  ย  ย  ย  ย  ย  ย  ย  ย  ย  ย  ย  ย  ย  ย  ย  ย  ย  ย  ย  ย  ย  ย  ย  ย  ย  ย  ย  ย  ย  ย  ย  ย  ย  ย  ย  ย  ย  ย  ย  ย  ย  ย  ย  ย  ย  ย  ย  ย  ย  ย  ย 

Other Business

Review of new applications for Regional Impact and comment by the Manchester Conservation Commission.ย  Prior to cases being brought forward to the Planning Board, a review of upcoming cases is discussed.ย  If a property is bordering a neighboring community or if the project could potentially impact a neighboring community, the Board will generally ask that the neighboring community review the application and weigh in with any concerns.ย  If a project could have some sort of environmental impact, the Board will generally ask for a review by the Cityโ€™s Conservation Commission. ย You can read more about the Conservation Commission and their mission here:ย  Conservation Commission (manchesternh.gov)

Under Administrative Matters, the Board will also take up a review of the proposed signage for 252 Willow Street, The Factory (The Factory on Willow – Now Leasing Live/Work Studio Space)

ย  ย  ย  ย  ย  ย  ย  ย  ย  ย  ย  ย  ย  ย  ย  ย  ย  ย  ย  ย  ย  ย  ย  ย  ย  ย  ย  ย  ย  ย  ย  ย  ย  ย  ย  ย  ย  ย  ย  ย  ย  ย  ย  ย  ย  ย  ย  ย  ย  ย  ย  ย  ย  ย  ย  ย  ย  ย  ย  ย  ย  ย  ย  ย  ย  ย  ย  ย  ย  ย  ย  ย  ย  ย  ย  ย  ย  ย  ย  ย  ย 

Due to the emergency orders issued by the Governor and on the guidance of public health officials, there will be no physical location in which to attend the meeting.ย  Meetings are broadcast live on Channel 22 or by going to Manchester Public TVโ€™s website to live stream:ย  PEG Channel 22 | manchestertv.ย  You will be able to offer public comment on the application by calling 603.792.6737 or by emailing planningboard@manchesternh.gov.ย  ย You may also attend the meeting through our webinar software by sending an email to the above-referenced address on the day of the meeting and requesting an invitation to participate.ย  The phone line and email will be monitored by staff up to, and during, the public hearing.

ย  ย  ย  ย  ย  ย  ย  ย  ย  ย  ย  ย  ย  ย  ย  ย  ย  ย  ย  ย  ย  ย  ย  ย  ย  ย  ย  ย  ย  ย  ย  ย  ย  ย  ย  ย  ย  ย  ย  ย  ย  ย  ย  ย  ย  ย  ย  ย  ย  ย  ย  ย  ย  ย  ย  ย  ย  ย  ย  ย  ย  ย  ย  ย  ย  ย  ย  ย  ย  ย  ย  ย  ย  ย  ย  ย  ย  ย  ย  ย  ย 

 

June Trisciani is a lifelong resident of Manchester, small business owner and currently serves as vice-chair of the Planning Board.

If you are interested in learning more about the Planning Board, this would be a great place to start:ย  Planning Board (manchesternh.gov)

 


Sign up for the FREE daily newsletter and never miss another thing!

Subscribe

* indicates required

Support Ink Link