City Works is a regular feature which endeavors to provide a preview of projects coming before the Planning Board, Zoning Board and Heritage Commission by posting agendas and relevant information to keep the public informed about what is happening.
ย ย ย ย ย ย ย ย ย ย ย ย ย ย ย ย ย ย ย ย ย ย ย ย ย ย ย ย ย ย ย ย ย ย ย ย ย ย ย ย ย ย ย ย ย ย ย ย ย ย ย ย ย ย ย ย ย ย ย ย ย ย ย ย ย ย ย ย ย ย ย ย ย ย ย ย ย ย ย ย ย
PLANNING BOARD
The Planning Board will be meeting on Thursday, October 7 at 6 p.m. The meeting will be broadcast live on Channel 22. A full copy of the meeting agenda can be found here. Project applications and other materials for this meeting are available online.
ย ย ย ย ย ย ย ย ย ย ย ย ย ย ย ย ย ย ย ย ย ย ย ย ย ย ย ย ย ย ย ย ย ย ย ย ย ย ย ย ย ย ย ย ย ย ย ย ย ย ย ย ย ย ย ย ย ย ย ย ย ย ย ย ย ย ย ย ย ย ย ย ย ย ย ย ย ย ย ย ย ย
SP2021-024: 21 West Auburn St and 24 Depot Street, Central Business District and Arena Overlay Zoning Districts
A site-plan application to demolish a structure of more than 200,000 square feet and to construct an apartment building with approximately 260 dwelling units, approximately 207 parking spaces, with associated on- and off-site improvements. Fuss and OโNeil, Inc. for the Desmond F. Willey Trust and Manchester Mills Realty, LLC. [Continued from September 2, 2021]
ย ย ย ย ย ย ย ย ย ย ย ย ย ย ย ย ย ย ย ย ย ย ย ย ย ย ย ย ย ย ย ย ย ย ย ย ย ย ย ย ย ย ย ย ย ย ย ย ย ย ย ย ย ย ย ย ย ย ย ย ย ย ย ย ย ย ย ย ย ย ย ย ย ย ย ย ย ย ย ย ย ย
CU2021-015: 606 Valley Street, Redevelopment-Mixed Use Zoning District
Applicant is requesting a conditional-use permit application to use approximately 3,400 square feet of existing retail space for healthcare offices. Permit Advisors for 606 Valley NH, LLC.
ย ย ย ย ย ย ย ย ย ย ย ย ย ย ย ย ย ย ย ย ย ย ย ย ย ย ย ย ย ย ย ย ย ย ย ย ย ย ย ย ย ย ย ย ย ย ย ย ย ย ย ย ย ย ย ย ย ย ย ย ย ย ย ย ย ย ย ย ย ย ย ย ย ย ย ย ย ย ย ย ย ย
S2021-009: 676 & 692 Front Street, Residential One Family Zoning District
A subdivision application for a lot line adjustment between the two properties. S&H Land Services, LLC for Stephen A. Bukowski & Robert and Emily Bukowski Joint Revocable Trust.
ย ย ย ย ย ย ย ย ย ย ย ย ย ย ย ย ย ย ย ย ย ย ย ย ย ย ย ย ย ย ย ย ย ย ย ย ย ย ย ย ย ย ย ย ย ย ย ย ย ย ย ย ย ย ย ย ย ย ย ย ย ย ย ย ย ย ย ย ย ย ย ย ย ย ย ย ย ย ย ย ย ย
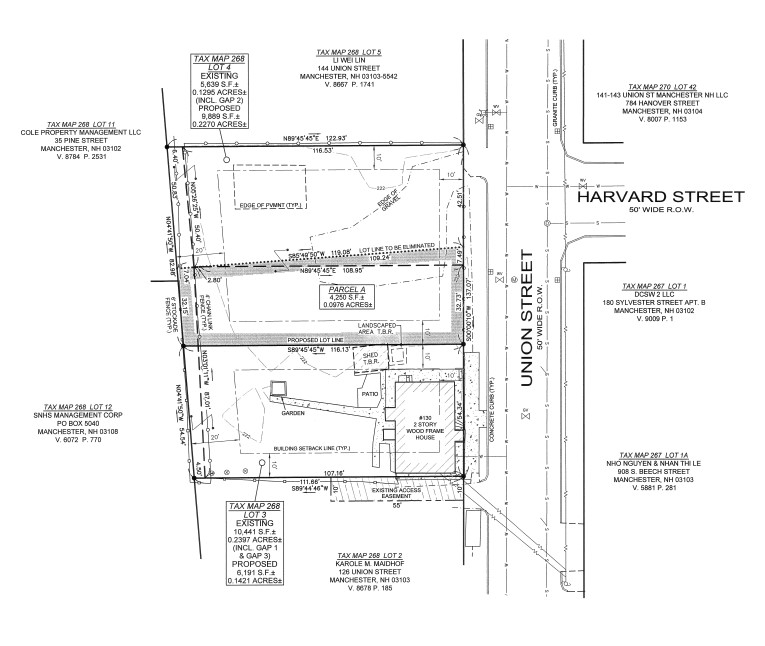
S2021-012: 130 Union Street, Residential One Family Zoning District
A subdivision application for a lot line adjustment transferring 4,250 SF from Lot 3 to Lot 4 resulting in two lots of 9,889 SF (Lot 4) and 6,191 SF (Lot 3). Joseph M. Wichert, LLS for Bhavesh B. & Nitu B. Patel.
ย ย ย ย ย ย ย ย ย ย ย ย ย ย ย ย ย ย ย ย ย ย ย ย ย ย ย ย ย ย ย ย ย ย ย ย ย ย ย ย ย ย ย ย ย ย ย ย ย ย ย ย ย ย ย ย ย ย ย ย ย ย ย ย ย ย ย ย ย ย ย ย ย ย ย ย ย ย ย ย ย ย
SP2021-028: 130 Union Street, Urban Multifamily Zoning District
A site-plan application for minor site modifications associated with adjacent Lot 4 in the R-3 Zoning District. Granite Engineering for
Bhavesh B. & Nitu B. Patel.
SP2021-029: 130 Union Street, Urban Multifamily Zoning District
A site-plan application to construct a proposed 4-unit residential development with associated site improvements. Granite Engineering for Bhavesh B. & Nitu B. Patel
ย ย ย ย ย ย ย ย ย ย ย ย ย ย ย ย ย ย ย ย ย ย ย ย ย ย ย ย ย ย ย ย ย ย ย ย ย ย ย ย ย ย ย ย ย ย ย ย ย ย ย ย ย ย ย ย ย ย ย ย ย ย ย ย ย ย ย ย ย ย ย ย ย ย ย ย ย ย ย ย ย ย
Sp2021-015 130 Silver Street & 40 Pine Street, RDV Zoning District
A site-plan application to construct a 4,200 SF addition, with associated site improvements. Fuss & OโNeill, Inc. for SNHS Management Corp.
[Request by applicant to postpone to 11/04/21]
ย ย ย ย ย ย ย ย ย ย ย ย ย ย ย ย ย ย ย ย ย ย ย ย ย ย ย ย ย ย ย ย ย ย ย ย ย ย ย ย ย ย ย ย ย ย ย ย ย ย ย ย ย ย ย ย ย ย ย ย ย ย ย ย ย ย ย ย ย ย ย ย ย ย ย ย ย ย ย ย ย ย

SP2021-027: 210 Beech Street, Urban Multifamily Zoning District
A site-plan application to change the use of an existing two-family into congregate housing in the R-3 Zoning District. Tabula Rasa, LLC.
CU2021-016: 210 Beech Street, Urban Multifamily Zoning District
A conditional use permit application to reduce the required parking in the R-3 Zoning District. Tabula Rasa, LLC.
ย ย ย ย ย ย ย ย ย ย ย ย ย ย ย ย ย ย ย ย ย ย ย ย ย ย ย ย ย ย ย ย ย ย ย ย ย ย ย ย ย ย ย ย ย ย ย ย ย ย ย ย ย ย ย ย ย ย ย ย ย ย ย ย ย ย ย ย ย ย ย ย ย ย ย ย ย ย ย ย ย ย
PLANNING BOARD LIMITED BUSINESS MEETING
- SP2021-023:ย 284 Hanover Street
- CU2021-015: 606 Valley Street
ย ย ย ย ย ย ย ย ย ย ย ย ย ย ย ย ย ย ย ย ย ย ย ย ย ย ย ย ย ย ย ย ย ย ย ย ย ย ย ย ย ย ย ย ย ย ย ย ย ย ย ย ย ย ย ย ย ย ย ย ย ย ย ย ย ย ย ย ย ย ย ย ย ย ย ย ย ย ย ย ย
ADMINISTRATIVE MATTERS
- Review and approval of the Planning Board Minutes of August 5, 2021 and August 19, 2021.