
MANCHESTER, N.H. – A new housing development just minutes away from I-293 and South Manchester’s commercial district passed a major hurdle on Thursday night.
In a unanimous decision, the Manchester Zoning Board of Appeals (ZBA) approved a variance to Lefavor Folio LLC for a multi-story 42 unit building at 10000 South Willow St., a few thousand feet from the Londonderry border.
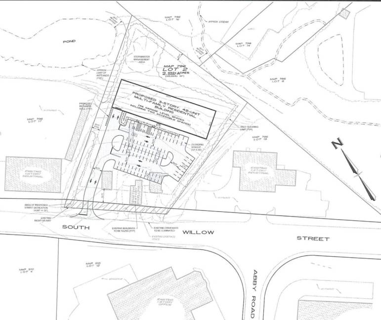
The proposed residential building will be across the street from Southern New Hampshire Veterinary Referral Hospital, next door to Cryo Industries and Beacon Sales with the back side of the property abutting the Best Western Plus Executive Court Inn.
Although the approximately three-acre land parcel proposed to host the development is zoned industrial, necessitating the need for a variance, a grandfathered single-family home has been on the parcel since the 1940s.
Daniel Muller, representative for Lefavor Folio LLC, noted the Best Western and the existing house in his request to the ZBA for the variance. He also noted that the parcel is near several others zoned for Residential Suburban Multi-family units, zoned with the intention of spacious, townhouse-style neighborhoods.
Initially, the proposed development was planned as a set of townhouses, but placing just one building would eliminate the need for multiple driveways throughout the lot.
Muller also noted that if the 10000 South Willow St. parcel follows the density standards of multi-unit buildings elsewhere in the city, as well as the property’s ideal location for commuters and the lack of comparable residential properties in the area.
The proposed building will be set back several hundred feet from South Willow Street, with one floor of the building reserved for a garage and the other three floors of the building used for condominium-ownership style units.
“The area looks suitable and this looks like a good project,” said ZBA Member Jose Lovell. “It looks nice and it’s in close proximity to South Willow shops, so I think it’s a good benefit to the city and I don’t think it will bother any of the abutters.”
