Heritage Commission reviews plans for signage in the Millyard along with a cell tower review

trisciani

City Works is a regular feature which endeavors to provide a preview of projects coming before the Planning Board, Zoning Board and Heritage Commission by posting agendas and relevant information to keep the public informed about what is happening.

ย  ย  ย  ย  ย  ย  ย  ย  ย  ย  ย  ย  ย  ย  ย  ย  ย  ย  ย  ย  ย  ย  ย  ย  ย  ย  ย  ย  ย  ย  ย  ย  ย  ย  ย  ย  ย  ย  ย  ย  ย  ย  ย  ย  ย  ย  ย  ย  ย  ย  ย ย 

PLANNING BOARD HIGHLIGHTS

At the May 20 Planning Board public hearing, the following items were reviewed and will be decided during the next business meeting.

273 Dubuque Street, R-3 Zoning District (CU2020-003 & SP2021-013), the applicant’s request for a full waiver from Appendix C of the Subdivision and Site Plan Regulations was denied; however, the Planning Board did agree to accept plans as currently submitted with no requirement for additional stamped plans.

Proposed Subdivision and Site Plan Review Regulations Amendments, the Manchester Planning Board heard public comments on proposed amendments of the Subdivision and Site Plan Review Regulations. These amendments were further discussed by the Planning Board and the public hearing was continued until the June 3 meeting.

The following cases were discussed and decisions were rendered during the Business Meeting.ย  If you wish to see more detail, the recording is available on-demand.

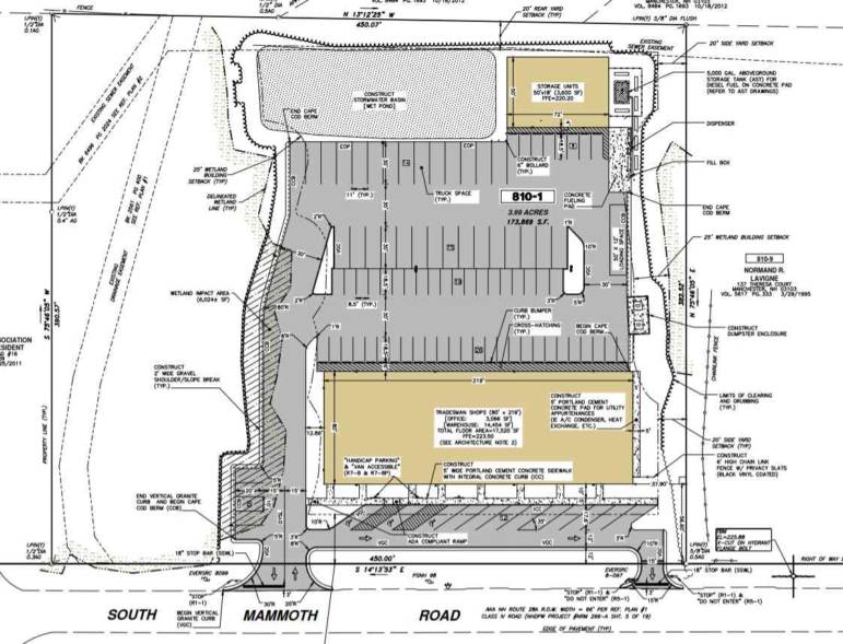
Site plans for 983 Mammoth Road project.
  • 983 South Mammoth Road (PDSP2020-007), Application approved with conditions.
  • 241-261 Candia Road (S2020-020), Application approved with conditions.
  • 252 South Willow Street (CU-2021-007, PDSP2021-001), Application approved with conditions.

ย  ย  ย  ย  ย  ย  ย  ย  ย  ย  ย  ย  ย  ย  ย  ย  ย  ย  ย  ย  ย  ย  ย  ย  ย  ย  ย  ย  ย  ย  ย  ย  ย  ย  ย  ย  ย  ย  ย  ย  ย  ย  ย  ย  ย  ย  ย  ย  ย  ย  ย ย 

HERITAGE COMMISSION

The Manchester Heritage Commission will meet on Tuesday, May 25 at 6 p.m. These meetings are being held online to adhere to COVID protocols and can be accessed by tuning into Channel 22 on your television or online: PEG Channel 22 | manchestertv

ย  ย  ย  ย  ย  ย  ย  ย  ย  ย  ย  ย  ย  ย  ย  ย  ย  ย  ย  ย  ย  ย  ย  ย  ย  ย  ย  ย  ย  ย  ย  ย  ย  ย  ย  ย  ย  ย  ย  ย  ย  ย  ย  ย  ย  ย  ย  ย  ย  ย  ย ย 

The full agenda for Tuesday’s meeting can be found online,ย highlights are below:

Section 106 Review – 335 Cypress Street – EBI Consulting, for the Cypress Condominium Association, seeks a review for the proposed addition of cellular antennas and cable within existing infrastructure previously reviewed under HCOMM2019-006.

Note: The Heritage Commission is frequently asked to review projects and has the option to send comments to the State Historic Preservation Officer when a property is subject to Section 106 rules related to the Federal Historic Preservation Act.ย  Part of a Section 106 review is to ensure that the proposed changes will not materially harm the property and if there is potential harm, what factors can/will be used to mitigate the risks.ย 

ย  ย  ย  ย  ย  ย  ย  ย  ย  ย  ย  ย  ย  ย  ย  ย  ย  ย  ย  ย  ย  ย  ย  ย  ย  ย  ย  ย  ย  ย  ย  ย  ย  ย  ย  ย  ย  ย  ย  ย  ย  ย  ย  ย  ย  ย  ย  ย  ย  ย  ย ย 

Girls at Work celebrated its grand reopening in Sept. 2020 at 200 Bedford St.

Regulatory review of a sign permit application in the Amoskeag Millyard Historic District – 200 Bedford Street, Girls at Work, Inc.The applicant seeks approval to install a 3โ€™ x 3โ€™ non-illuminated wall sign on the south face of the building. Additionally, the applicant proposes to paint portions of the entrance and railing white.

ย  ย  ย  ย  ย  ย  ย  ย  ย  ย  ย  ย  ย  ย  ย  ย  ย  ย  ย  ย  ย  ย  ย  ย  ย  ย  ย  ย  ย  ย  ย  ย  ย  ย  ย  ย  ย  ย  ย  ย  ย  ย  ย  ย  ย  ย  ย  ย  ย  ย  ย ย 

Additional Business
โ€ข Discussion of Historic Signage proposed by Commissioner Garrity.
โ€ข Heritage Parks Subcommittee report. (Tabled from last month’s meeting)

ย  ย  ย  ย  ย  ย  ย  ย  ย  ย  ย  ย  ย  ย  ย  ย  ย  ย  ย  ย  ย  ย  ย  ย  ย  ย  ย  ย  ย  ย  ย  ย  ย  ย  ย  ย  ย  ย  ย  ย  ย  ย  ย  ย  ย  ย  ย  ย  ย  ย  ย ย 

Due to the emergency orders issued by the Governor and on the guidance of public health officials, there will be no physical location in which to attend the meeting. You will be able to view and hear the meeting on Manchester Public TV, either on Channel 22 or on MPTVโ€™s website. You will be able to offer public comment on the application by calling 603-792-6734 or by emailing heritagecom@manchesternh.gov. The phone line and email will be monitored by staff up to, and during, the public hearing

ย  ย  ย  ย  ย  ย  ย  ย  ย  ย  ย  ย  ย  ย  ย  ย  ย  ย  ย  ย  ย  ย  ย  ย  ย  ย  ย  ย  ย  ย  ย  ย  ย  ย  ย  ย  ย  ย  ย  ย  ย  ย  ย  ย  ย  ย  ย  ย  ย  ย  ย ย 

June Trisciani is a lifelong resident of Manchester, small business owner and currently serves as vice-chair of the Planning Board.

 


Sign up for the FREE daily newsletter and never miss another thing!

Subscribe

* indicates required

Support Ink Link